Retail For Sale

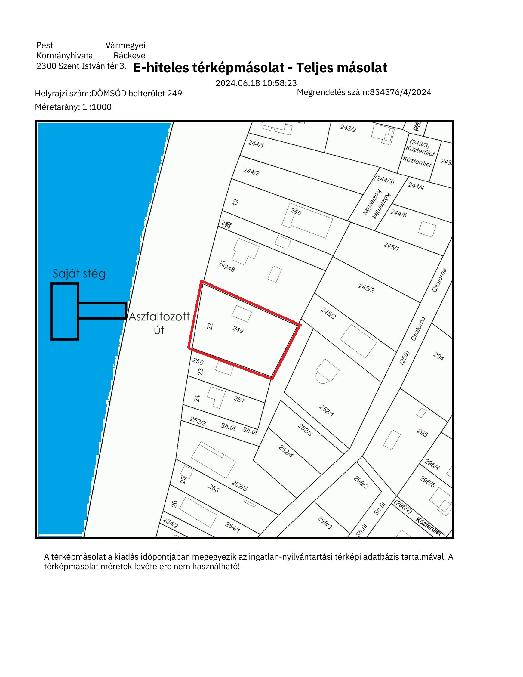
Középső-Dunapart 22, Dömsöd
SOLD
Price 32.900.000 Ft
Ref: DWNT-E9F830
Property Details
Price: 32.900.000 Ft
Price/sqm: 34.307 Ft
Official Size: 959m2
Actual Size: 959m2
Lot size: 959 m2
Property Type: Retail
City: Dömsöd

Get in touch with us today